
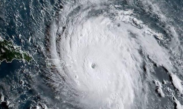
ویسٹ انڈیز اور میکسیکو سمیت کئی ممالک کے ساحلی علاقوں سے ٹکرانے والا خوفناک سمندری طوفان کل کسی بھی وقت امریکی ریاست ٹیکساس کے ساحل سے ٹکرا سکتا ہے۔
ریاستی حکام نے ساحلی علاقوں کے رہائشی افراد کو لازمی انخلاء کا حکم دیتے ہوئے 121 کاونٹیز کیلے ہنگامی اعلامیہ بھی جاری کردیا ہے۔
ہیوسٹن سمیت ریاست ٹیکساس کے بیشتر شہروں میں گرج چمک کے ساتھ وقفے وقفے سے تیز بارشوں کا سلسلہ بھی شروع ہو گیا ہے۔
قانون نافذ کرنے والے اداروں سمیت دیگر ایمرجنسی ریلیف فراہم کرنے والے اداروں کو ہائی الرٹ جاری کردیا گیا ہے۔
ریاستی حکام نے طوفان سے ممکنہ تباہی سے نمٹنے کیلے ہنگامی احتیاطی اقدامات کر لئے ہیں
طوفانی بارشوں اور سیلابی صورتحال کی وجہ سے اتوار اور پیر کی درمیانی شب سے شہریوں کو حتی الامکان گھروں تک محدود رہنے کی ہدایت کی گئی ہے۔
ویسٹ انڈیز اور میکسیکو سمیت کئی ممالک کے ساحلی علاقوں میں خوفناک سمندری طوفان بیرل نے سخت تباہی پھیلائی ہے جس کے نتیجے میں اب تک 11 افراد ہلاک ہوچکے ہیں۔
طوفان کی وجہ سے امریکی محکمہ موسمیات نے 5 تا 10 انچ جبکہ بعض علاقوں میں 15 انچ بارش کی پیشن گوئی کی ہے۔
طوفان بیرل آئندہ 24 گھنٹوں میں کٹیگری 4 میں داخل ہوسکتا ہے جس کے ساتھ 55 میل فی گھنٹہ سے لے کر 130 میل فی گھنٹہ کی رفتار سے ہوائیں چلیں گی۔
ریاستی حکام کی جانب سے ساحلی علاقوں سے انخلا کرنے والے افراد کیلے شیلٹرز بھی قائم کردئیے گئے ہیں۔
مزید پڑھیں
Catch all the Business News, Breaking News Event and Latest News Updates on The BOL News
Download The BOL News App to get the Daily News Update & Live News